예약내역
|
로그인
|
회원가입
|
고객센터
실시간예약
조황정보
먹물조황
선박소개
공지사항
기상안내
1:1문의하기
조황관리
HOME /
조황관리
/ 상세정보
제목 :
1월14일 여수신강수도호 (010-3666-1520)감성돔조황
복사
등록일 :
2026-01-14
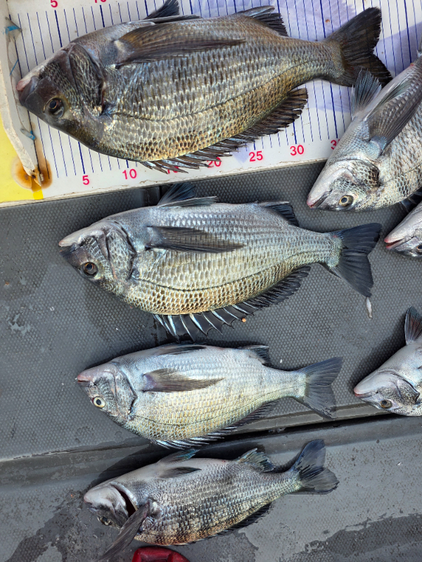
감성돔 흘림찌낚시 다녀왔습니다
2분 조황 입니다
43부터 28까지 15마리
잡았습니다
15금요일 부터 계속 출항 합니다
*** 여수 신강수도호 예약 안내 ***
예약문의 : 010-3666-1520
부재시 : 010-5427-6531
오시는길 : 전남 여수시 신월5길 22 (금성휴먼터치빌 아파트 앞 선착장)
홈페이지 :
https://singangsudo.sunsang24.com/
이전글
다음글
조황관리목록
Top