| 제목 : 여수신강수도호 010-3666-1520 감성돔 조황 | ||
| 등록일 : 2026-01-12 | ||
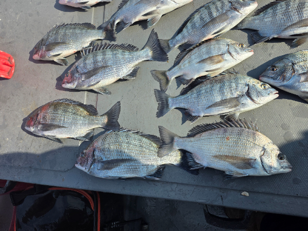
![]() ![]() ![]() ![]() ![]() ![]() ![]() ![]() ![]() ![]() ![]() ![]() 여수신강수도호(010-3666-1520) 오늘 2분 모시고 감성돔 흘림찌낚시 다녀왔습니다.새벽 여명이 밝아서 낚시 시작과 동시 감성돔 입질이 들어 왔습니다 씨알은 30 부터 40까지 전원 골고루 손맛 봤습니다 14수요일 부터 쭉 출항 합니다 감성돔 손맛 보러 오십시요! *** 여수 신강수도호 예약 안내 *** 예약문의 : 010-3666-1520 부재시 : 010-5427-6531 오시는길 : 전남 여수시 신월5길 22 (금성휴먼터치빌 아파트 앞 선착장) ![]() |
||